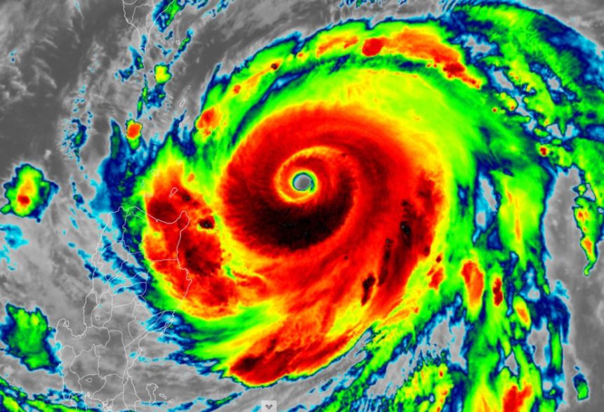
Le Centre national de contrôle des inondations et de lutte contre la sécheresse de la Chine a relevé mardi sa réponse d’urgence aux typhons au niveau III pour les provinces du Guangdong et de Hainan, alors que le typhon Ragasa, le 18e de l’année, s’apprête à toucher terre.
Selon le ministère de la Gestion des urgences, ce puissant typhon devrait toucher terre le long de la côte du Guangdong, entre Zhuhai et Zhanjiang, entre mercredi midi et mercredi soir. Le ministère a déclaré dans une mise à jour plus tard mardi que la commission nationale pour la prévention des catastrophes avait envoyé une équipe dans les zones touchées du Guangdong afin d’évaluer la situation sur le terrain et d’aider les efforts locaux de secours.
Le ministère a également annoncé avoir mobilisé 143 équipes de secours issues d’entreprises d’Etat administrées par le gouvernement central. Ces équipes sont en mesure de fournir une capacité de secours de plus de 7.400 personnes et plus de 2.500 équipements de sauvetage pour aider au dégagement des routes dans les zones touchées et à l’évacuation d’urgence des eaux de crue.
En raison de l’impact du typhon, le Centre national de contrôle des inondations et de lutte contre la sécheresse a déclenché mardi une réponse d’urgence de niveau IV au typhon dans la région autonome Zhuang du Guangxi, voisine du Guangdong.
Le ministère des Ressources en eau a exhorté les départements locaux chargés des ressources en eau des provinces du Guangdong, de Hainan et du Fujian, ainsi que du Guangxi, à surveiller de près le typhon, à émettre rapidement des alertes précoces et à fournir des conseils opportuns aux gouvernements locaux en cas de nécessité d’évacuer les populations des zones dangereuses.
Chine : La Chine relève son niveau de réponse d’urgence à l’approche du typhon Ragasa
Leave a Comment
